dc.contributor.advisor | Bergset, Mari A. Aston | |
dc.contributor.author | Marker, Tale | |
dc.date.accessioned | 2025-05-26T14:06:25Z | |
dc.date.available | 2025-05-26T14:06:25Z | |
dc.date.issued | 2023-05-22 | en |
dc.description.abstract | Utgangspunktet mitt for min diplom har vært gravlundene i Tromsø kommune. Jeg har kartlagt samtlige offentlige gravlunder i kommunen, samt gravkulturminner kirker og kapell, og kommunens krematorium. Videre har jeg undersøkt de ulike gravlundenes posisjon og demografiske situasjon. Fordi småsteds-gravlundene viste seg som særlig typiske ville jeg se nærmere på disse. Jeg har opplevd små bygders gravlunder som det nærmeste man kommer en park eller et felles hagerom på disse stedene. I min diplomoppgave har jeg derfor ville se nærmere på småsteds-gravlundenes historie og samtidsfunksjon. Videre har jeg ønsket å utfordre denne som et grep for en forsterket opplevelse av å bo på bygda, hvor man som beboer i senere år har mistet rom for formelle og uformelle møtestedet som skole, nærbutikk og så videre. Grendegravlunden, og gravlunder generelt, befinner seg nemlig i en situasjon hvor de ikke kan stenges ned eller flyttes helt umiddelbart. | en_US |
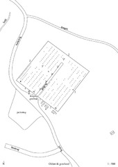
dc.description.abstract | Videre bestemte jeg meg for å jobbe spesifikt på Oldervik gravlund. Plassert i Oldervik, et fiskevær med i underkant av 130 innbyggere. Fiskerinæring er stadig bygdas hovednæring, men mange pendler også til Tromsø for arbeid. Som andre mindre bosetninger i de norske distriktene er det en stadig aldrende befolkning som holder til i Oldervik. | en_US |
dc.description.abstract | I samtaler med ansatte Gravplassmyndigheten i Tromsø og beboere og brukere av Oldervik gravlund har jeg forstått et stort engasjement og en stor omsorg for gravlunden. Den ble etablert i 1903, initiert av bygdas beboere selv. Som også driftet gravlunden og dens funksjoner. Siden har kommunen overtatt driftsansvaret. | en_US |
dc.description.abstract | Jeg har utført en rekke analyser i forhold til geologiske forhold, bebyggelse, brukere og beboere. Videre har jeg forsøkt å kartlegge gravlundens rolle i bygda og tilknytning til aktiviteter og næringer. Stedets geologi, løsmasseforhold og infiltrasjonsevne er essensielt å vurdere i en gravlundssammenheng. Tidligere plasserte man gjerne gravlunder på et sted med en spesielt vakker utsikt eller på en særlig skjønn natur eller landskapssituasjon. Dette trengte ikke bety at jordas forhold stemte overens med kvaliteter og egenskaper man i senere år gjerne velger å prioritere høyere når man anlegger en gravlund. Oldervik gravlund er plassert i dalens solside, med storslåtte utsikter til omkringliggende fjelltopper, sjøen og potensielt Lyngsalpene. I tillegg består løsmasseunderlaget av fluvial avsetning med god infiltrasjonsevne. Negativt om gravlundens plassering er at den er meget utsatt for særlig snøskred. | en_US |
dc.description.abstract | Videre har jeg hatt et fokus på vegetasjon og bruk av lokale arter gjennom prosjektet. Norsk Botanisk Forening har ved en anledning beskrevet landskapet i Oldervik som “Tromsø kommunes rikeste flora-landskap”. Dette innebærer forekomster av mange og flere sjeldne orkidé-arter i tillegg til andre arter. Jeg har ønsket å framstille lokale arter på en ny måte som forhåpentligvis kan opplyse, inspirere og engasjere i folks egne, private artspreferanser. I tillegg hadde jeg et mål om å skape en mer artsrik gravlund generelt. Økt biologisk mangfold bidrar til bedre levevilkår for insekter og dyr samtidig som en artsrik gravlund, ifølge forskere ved NMBU, oppleves som fredfylte og steder med mening. | en_US |
dc.description.abstract | Gjennom semesteret har jeg hatt et særlig fokus på den nord-norske grendegravlunden, men jeg har også brukt våren på å fordype meg i gravplasskultur og emnet som en landskaps-arkitektur-tyopologi generelt. I den anledning har jeg studert historiske skildringer av nordisk gravkultur før og etter reformasjonen, gjennomført en rekke gravlunds- og minnesstedsbefaringer og engasjert meg i litterære og kunstneriske verk som berører temaet. Jeg har utarbeidet noen hefter som inkluderer både registreringer, analyser og betraktninger fra mitt design-prosjekt i tillegg til nevnte eksterne undersøkelser i gravlundstypologi. Disse heftene har vært en metode for meg å gjennomgå både kilder, opplevelser og egne arbeider underveis samtidig som at jeg har satt pris på binding | en_US |
dc.identifier.uri | https://hdl.handle.net/10037/37133 | |
dc.language.iso | nob | en_US |
dc.publisher | UiT Norges arktiske universitet | no |
dc.publisher | UiT The Arctic University of Norway | en |
dc.rights.holder | Copyright 2023 The Author(s) | |
dc.rights.uri | https://creativecommons.org/licenses/by-nc-sa/4.0 | en_US |
dc.rights | Attribution-NonCommercial-ShareAlike 4.0 International (CC BY-NC-SA 4.0) | en_US |
dc.subject.courseID | LAN-3900 | |
dc.subject | Landskapsarkitektur | en_US |
dc.title | Oldervik gravlund: en utvidet forståelse av den nord-norske grendegravlunden | en_US |
dc.type | Mastergradsoppgave | no |
dc.type | Master thesis | en |